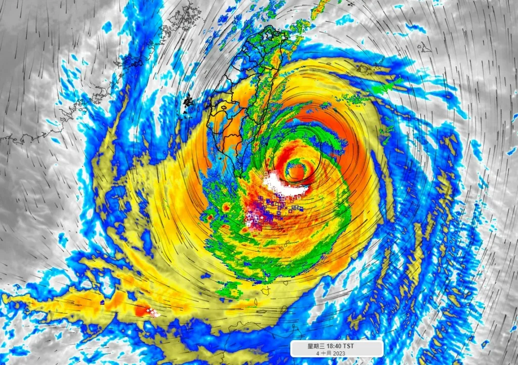
中度颱風「小犬」(國際命名:KOINU)來勢洶洶,不僅雨勢越趨強大,因為颱風結構扎實風場大,東半部、西部沿海地區都明顯感受到超強風力,蘭嶼甚至觀測到每秒95.2公尺的超強陣風,打破39年以來氣象史最大陣風紀錄,蘭嶼連風速計都被全部吹毀,小犬颱風也將在今(5)日清晨登陸,破壞威力強大,民眾防颱作業不可輕忽。
氣象粉轉「台灣颱風論壇」貼文表示「狂犬的怒吼,蘭嶼氣象站測到每秒95.2公尺的超強陣風,記錄確認,確定刷新台灣氣象史上最強陣風紀錄,狂犬讓大家見證歷史」。

而「報天氣中央氣象署」也表示「蘭嶼氣象站在4日晚間9點52分,測到瞬間最大陣風95.2m/s(大於17級風),刷新臺灣氣象史上最大陣風的觀測紀錄!」在近10年蘭嶼站測得大於17級陣風的颱風有「2021年燦樹」、「2016年尼伯特」以及「2013年天兔」,但是這三次颱風觀測風力仍遠低於本次紀錄。
中央氣象署也提到,而更久以前的蘭嶼最大陣風紀錄,為1984年亞力士颱風的89.8m/s,也被小犬颱風刷新了!由於風力實在太強,蘭嶼氣象站的風速計已經陣亡,後續是否有更強的風出現已經無法得知,但隨著颱風中心持續往恆春半島接近中,提醒恆春半島、南台東的朋友,即刻起至今(5)日清晨務必嚴加戒備狂風所帶來的衝擊!(原文出處)
【王宥然專欄】上班不順、下班孤單?辦公室風水這樣擺,防小人又招桃花!

,限量販售讓大家直呼買不到!清心福全滿足粉絲心願,再推四款造型燈箱。(資料來源:清心福全)-300x200.jpg)



